Bán Lô đất Biệt Thự Kdc Biconsi Tân Thắng, Tân đông Hiệp, Dĩ An Diện Tích 393m Giá 12,5 Tỷ

Thông tin mô tả
Mã tin
: 33601025
Cập nhật
: 3 ngày trước
Loại tin
: Bán đất nền dự án
Mức giá
: 12,5 tỷ
Diện tích
: 393m²
Quý khách xem nhà trực tiếp xin liên hệ:
Chính chủ gửi bán ĐẤT BIỆT THỰ KDC BICONSI TÂN THẮNG, TÂN ĐÔNG HIỆP, DĨ AN DIỆN TÍCH 393M GIÁ 12,5 TỶ
Thông tin chi tiết:
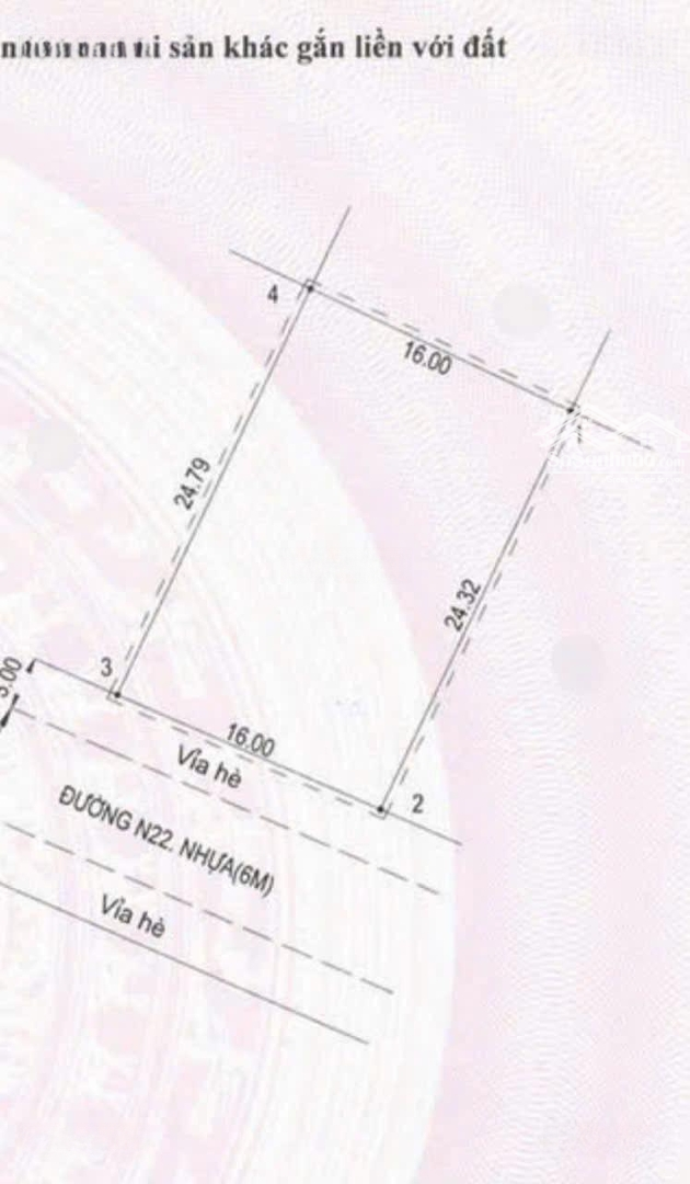
Diện tích: 393m² (ngang 16m, thổ cư 100%).
Hạ tầng: đường nhựa thông thoáng, vỉa hè rộng, cây xanh mát mẻ.
Hướng: Tây Nam.
Pháp lý: sổ hồng riêng, hỗ trợ vay ngân hàng.
Giá bán: 12 tỷ 500 triệu (thương lượng chính chủ).
Vị trí thuộc KDC Biconsi Tân Thắng, phường Tân Đông Hiệp, TP. Dĩ An khu dân cư cao cấp, thích hợp xây biệt thự, an cư lâu dài hoặc đầu tư sinh lời.
Liên hệ ngay: Tuấn để được xem đất và thương lượng trực tiếpĐặc điểm nổi bậtDiện tích :393m2Mặt tiền :16mGiá :12,5 tỷĐường vào :12m
Đặc điểm bất động sản
Mức giá: 12.5 tỷ
Tính lãi suất