Bán Lô đất Hơn 1000m2 Có Sẵn Cái Xưởng Mặt Tiền Dx087 Phường Hiệp An đường Nhựa 6m Thông

Thông tin mô tả
Mã tin
: 33556121
Cập nhật
: 3 ngày trước
Loại tin
: Bán kho, nhà xưởng
Mức giá
: 5,9 tỷ
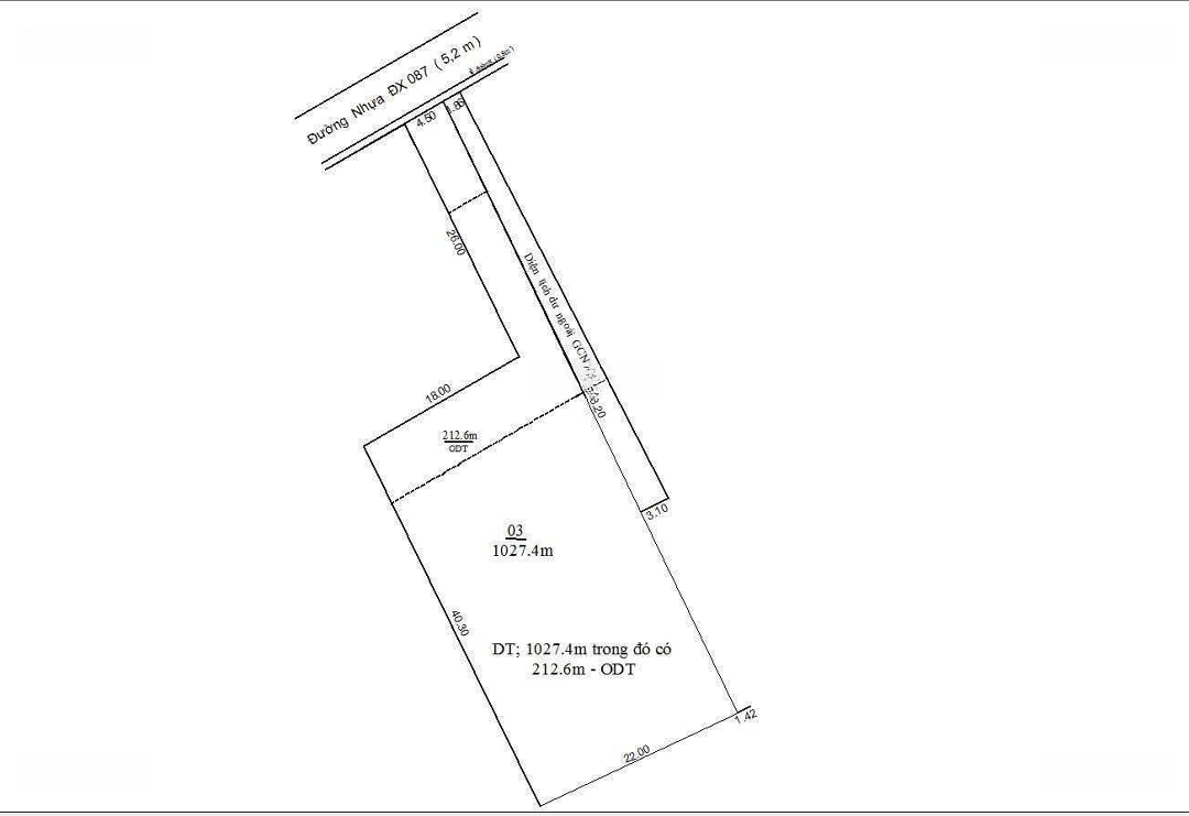
Diện tích
: 1027m²
Quý khách xem nhà trực tiếp xin liên hệ:
- Còn cái xưởng cần bán gấp giá rẻ. Mặt tiền DX087 phường Hiệp An cũ.
- Diện tích hơn 1000m² có sẵn 212m² thổ cư.
- Đường nhựa 6m thông Nguyễn Chí Thanh.
- Vị trí đẹp. Làm kho xưởng, xây biệt thự hết ý.
- Giá bán nhánh 5,9 tỷ còn thương lượng.
- Lh: Đặc điểm nổi bậtDiện tích :1027m2Giá :5,9 tỷ
Đặc điểm bất động sản
Mức giá: 5.9 tỷ
Tính lãi suất