Bán Mảnh đất Kim Cương Mặt Phố Lý Thường Kiệt. Mặt Tiền 15m. Sổ Vuông Nở Hậu.

Thông tin mô tả
Mã tin
: 33638042
Cập nhật
: 5 giờ trước
Loại tin
: Bán nhà mặt phố
Mức giá
: 730 tỷ
Diện tích
: 500m²
Phòng ngủ
: 1 phòng ngủ
Quý khách xem nhà trực tiếp xin liên hệ:
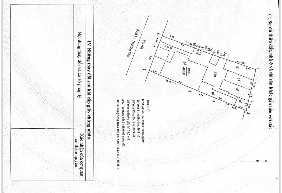
Anh chủ nhà đại gia có gửi em bán mảnh đất tặng nhà vuông vắn tại mặt phố Lý Thường Kiệt Quận Hoàn Kiếm ạ.
* Vị trí:
- Mặt phố Lý Thường Kiệt, P Cửa Nam Q Hoàn Kiếm (Cũ)
- Nằm tại bên chẵn phố Lý Thường Kiệt
* Mô tả:
- Hiện trạng đang cho thuê kinh doanh cực kì hiệu quả.
- Giấy phép xây dựng, 3 tầng hầm và 8 tầng nổi.
- Sổ đỏ vuông văn nở hậu. Mặt tiền 15m. Pháp lí sổ cất két công chứng ngay
- Lhe: ạĐặc điểm nổi bậtDiện tích :500m2Mặt tiền :15mGiá :730 tỷSố tầng :1 tầngPhòng ngủ :1 phòngPhòng tắm :1 phòngĐường vào :30m
Đặc điểm bất động sản
Mức giá: 730 tỷ
Tính lãi suất