Bán đất Hẻm ô Tô Cách đường Nguyễn Duy Trinh 20m Phường Long Trường Quận 9

Thông tin mô tả
Mã tin
: 34269191
Cập nhật
: 2 phút trước
Loại tin
: Bán đất
Mức giá
: 3,65 tỷ
Diện tích
: 56m²
Quý khách xem nhà trực tiếp xin liên hệ:
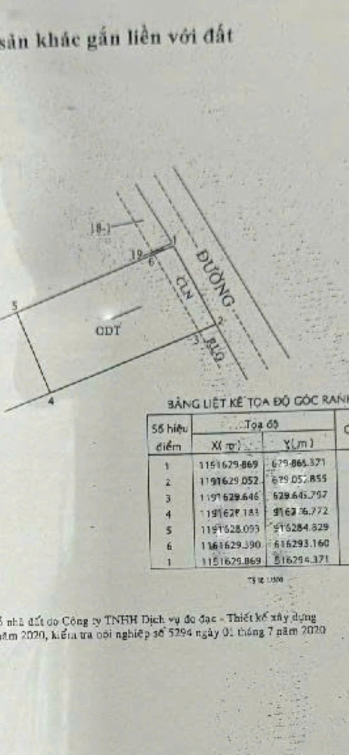
Bán đất hẻm ô tô cách đường Nguyễn Duy Trinh 20m phường long trường quận 9
dt 56m ( ngang 5.4 x 10.3m )
vị trí: gần đường số 5, 6, 7, ủy bán và chợ long trường, khu dân cư ổn định
pháp lý sổ hồng, bán 3.65 tỷ
lh SƠN BẢYĐặc điểm nổi bậtDiện tích :56m2Mặt tiền :5.4mGiá :3,65 tỷĐường vào :4m
Đặc điểm bất động sản
Mức giá: 3.65 tỷ
Tính lãi suất